Du tränar, pausar, sänker kraven och kämpar – men det är som att din hund har en kortare stubin än alla andra. Svaret kanske inte alls ligger i hundens personlighet eller i din träning. Det kan ligga i hundens kropp.
En ny omfattande svensk studie visar nämligen att dolda smärtor är betydligt vanligare än vi tror – även hos unga hundar som inte ens haltar. Jag säger alltid att alla reaktiva beteenden är en röd flagga för smärta, även hos unga hundar och jag tror tyvärr att många bär på smärta utan att ägaren vet om det.
I studien på över 114 000 svenska unga hundar har forskare vid SLU och SKK kartlagt hur utbrett det faktiskt är med höft- och armbågsdysplasi. Om du har en reaktiv hund är det här något du absolut behöver ha koll på, så läs vidare för att lära dig mer!
Stor svensk studie i framkant

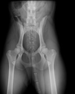
Har tittat på röntgenresultat från en enorm mängd hundar och sett att förekomsten av höftledsdysplasi (HD) och armbågsdysplasi (ED) varierar kraftigt. I vissa raser är det tyvärr mer regel än undantag att hunden har förändringar i sina leder – och det här uppdagas ofta redan vid den allra första röntgenkontrollen som unga hundar får.
Här är några av de mest uppseendeväckande siffrorna från studien:
- Dogue de Bordeaux: 75 % har HD och 40 % har ED.
- Chow Chow: 65 % har ED.
- American Staffordshire Terrier: Över 64 % har HD och nästan 35 % har ED.
Men siffrorna är höga även hos våra vanligaste familjehundar som golden retriever, labrador och schäfer. Det som är mest kritiskt för oss med reaktiva hundar är att studien bekräftar att hundar med sämre höfter också ofta har sämre armbågar. Det betyder att hunden kan bära på en dubbel belastning som vi inte alltid ser med blotta ögat.
Dessutom kan hundens utfall – där den faktiskt slänger sig i kopplet med full kraft – leda till ännu mer smärta eller till och med förvärra de problem som redan finns i lederna.
Den dolda smärtan – en “trigger” i sig själv

Många av de här hundarna röntgas när de är unga (mellan 12 och 24 månader), och i den åldern är det inte säkert att de haltar tydligt. Men även om hunden inte haltar kan det finnas en molande värk eller en inflammation som stjäl både energi och tålamod.
Den här typen av kronisk smärta, som ofta varierar i styrka från dag till dag, tär mentalt på hunden. Det leder till stress och en ständigt pågående inflammation i kroppen, vilket i sin tur ger en hund med betydligt kortare stubin.
När en hund har ont känner den sig mer sårbar och vill ofta inte att andra ska komma nära. Den kan då använda utfall eller skällande som ett sätt att skapa avstånd, helt enkelt för att den inte känner sig fysiskt kapabel att hantera en nära kontakt eller en plötslig rörelse.
Men med stress och smärta kommer också en ökad pessimism. Pessimism är grogrunden för misstänksamhet, och misstänksamhet sprider sig ofta snabbt. Det leder till en hund som hellre reagerar ”för säkerhets skull” – hellre för tidigt än för sent.
Det som är så knepigt med den här formen av dold smärta är att det inte alltid syns på utsidan. Om hunden har ont i både fram- och bakdel syns sällan en tydlig hälta, eftersom det gör lika ont överallt. Istället kanske du ser en lite ”konstig gång”, men inte ens det är säkert då hunden kan ha rört sig så hela livet. Det är därför det är SÅ viktigt att besöka en professionell fysioterapeut eller veterinär för att utreda detta ordentligt.
Mina råd till dig som misstänker smärta

Om du känner att du har kört fast i träningen vill jag att du funderar på dessa fyra saker:
- Leta efter “flytet”: På våra promenader tränar vi ofta på att sakta ner tempot. Har hunden svårt att gå långsamt? Blir det mycket “start och stopp”? Det kan vara hundens sätt att visa att det tar emot i lederna. Ett tips är att filma hunden under några veckor för att kunna se skillnader och jämföra rörelsemönstret över tid.
- Anpassa aktiveringen: Om vi misstänker smärta behöver vi byta ut vilda lekar mot lugnt nosarbete. Att använda nosen sänker pulsen och belastar inte lederna på samma sätt som tvära kast och rusningar i hög fart.
- Gå till en fysioterapeut!: De är experter på rörelseapparaten och kan ofta peka ut exakt var smärtan sitter. Det gör det betydligt enklare för dig att sedan förklara och visa för en veterinär vad du ser hemma.
- Röntgen är guld värt: Även om din hund är ung och ser pigg ut – ger en röntgen dig svar som är svåra att få på annat sätt. Om din fysioterapeut eller veterinär misstänker att hunden har ont är detta ett naturligt och viktigt steg att ta.
Kom ihåg! Att checka av hundens fysiska hälsa är inte att ge upp träningen – det är att ge din hund de förutsättningar den behöver för att faktiskt kunna lyckas med träningen.
Sammanfattningsvis
Den här studien bekräftar det jag ser i mitt arbete varje dag: Kropp och knopp går inte att separera. Om din hund kämpar med reaktivitet och ni har kört fast i träningen, är det dags att sluta leta efter lösningar enbart i beteendet och istället börja titta på den fysiska hälsan.
Dold smärta skapar pessimism, stjäl tålamodet och gör världen till en läskigare plats för din hund. Genom att utreda eventuella ledproblem och anpassa hundens vardag ger du inte bara din hund en mer smärtfri tillvaro – du ger er också de allra bästa förutsättningarna för att lyckas med träningen och få de där lugna promenaderna ni drömmer om.
Låt inte smärtan sätta stopp för träningen!
.




+ visa kommentarer
- Hide Comments
kommentera